호래기와 대변조황

호래기와 대변조황

대변365바다낚시 0 4,230 2014.11.01 09:39

① 출  조  일 : 14/11/01
② 출  조  지 : 대변
③ 출조 인원 : 1명
④ 물       때 : 1물
⑤ 바다 상황 : 양호
⑥ 조황 요약 :


오늘까지비소식이 전해지더니

아침 지금 현재  날씨만 창창하니

조사님들을 우롱하는것 같읍니다

이번주 조황입니다

매립지에서는 밤낚시에

호래기가 보름전부터 집어등아래

보이기 시작하더니

어제저녘 모애비 대바늘채비를

준비하여 첫캐스팅 해봤네요

1 시간가량 대바늘채비에 올라타네요

첫수는 입에 직행...

맛이  ..햐...

이맛에 호래기 낚시하는구나  ..싶네요

6 마리하고는 시간이없어 철수했읍니다

메니아 조사님들은참고 하세요...^^

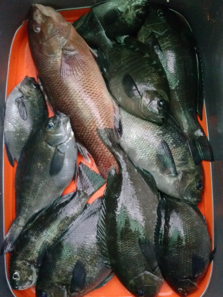
해광사와 죽도.큰방파제 석축에서는

뱅어돔이 많이 나오고 있읍니다

씨알급은 물론이고 파워도 상당합니다

손님고기로 해광사에서 혹돔도 따라나온

한주였읍니다

매립지와 죽도.해상공원에서는

숭어와 전어 가자주나오고있으며

저녘나절에 해상공원의 메가리가

25 이상급의 사이즈가 자주선을 보이고 있으며

죽도의 직볔에 바짝붙이시면

말쥐치가 입질을 하여주며 마릿수도 가능하겠읍니다

 

참 조:  1   민물새우(모애비) 판매중입니다

                        호래기.감성돔.뽈락용

                  호래기 일당백채비 도 만들어 드립니다

                        칼치채비도 만들어 드립니다

                      칼치킬러 생미끼 절찬리판매중

                         목포에서 직접공수
               

 

                   집어등 무료대여등은 3대 뿐입니다

                           예약은 받지 않으며

                       먼저오신분의 신청 순입니다


 

  

      참조: 2

            매주금요일과토요일은

            24시간영업하오니서두르지마시고

            오시기바랍니다


      참조:3

 


            매일오픈시간은  오전5시이며

            마감시간은10시입니다

            급히볼일이계신분은전화주세요

            010-3865-8252번입니다

           

 

             http://cafe.daum.net/365fishing
               365낚시는 국내산 갯지렁이가
                아니면 판매하지 않읍니다
        연중 숙성크릴 판매합니다(3평의  냉동   2평의 냉장실 보유)
        초보조사님들 오시면 채비 만들어드리겠  읍니다
              초보조사님들의 입문 뱅어돔채비와 감성돔 채비 만들어드립니다

 

 

 

 


 


 

 

 

 

                      찾아오시는길

         부산시 기장읍 대변리 584번지 서전@상가102

         기장에서 송정(용궁사)가는 국도 대변 입구에서

         우회전 내리막길 입니다

         대변입구 올라오시는 길에서 보시면

         서전 이라고 적혀있는 (대변에서제일큰아파트빌딩)

         하얀 건물이보입니다

        

                  전화번호:010-3865-8252

 

Comments